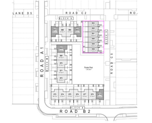
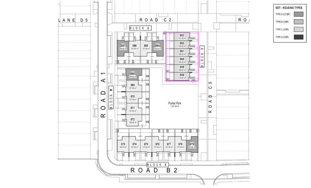
Richmond Stage 1B

66 terraced houses

+ Client
Wilshire Group Limited

+ Location
Mt Wellington

+ Value
18 million

+ Consultants
Brewer Davidson (Architect)

Brown Thompson (Engineer)